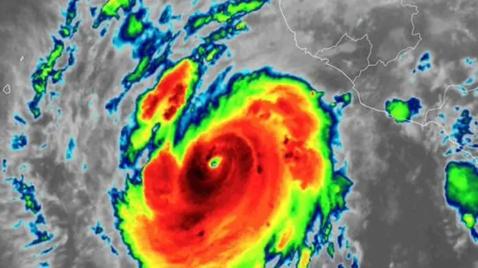
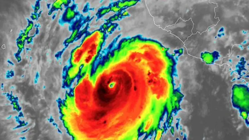
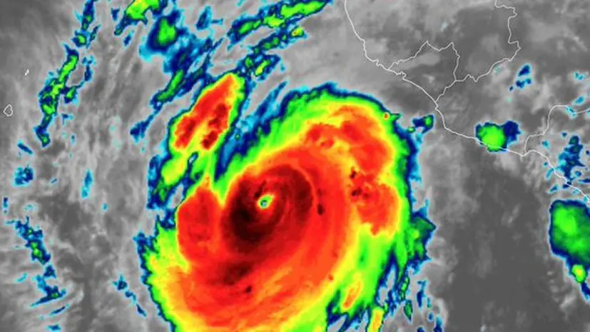
El huracán Roslyn se fortaleció a categoría 4 este sábado ante la costa Pacífico de México, que se ha declarado en alerta, informó el Centro Nacional de Huracanes de Estados Unidos (NHC).
A las 15h00 GMT (13 de la Argentina), el fenómeno registraba vientos sostenidos de 215 km/h y aunque podría perder fuerza al acercarse a la costa, «se espera esté cerca o siga siendo un huracán mayor cuando toque tierra el domingo», señala el boletín del NHC.
Un huracán mayor es superior a la categoría 3 de la escala Saffir-Simpson (de 5) y es considerado potencialmente catastrófico, explicó la agencia de noticias AFP.
Según el pronóstico del NHC, Roslyn podría tocar tierra durante la mañana del domingo en la costa del estado de Nayarit, en una zona donde se localizan comunidades dedicadas a la pesca.
El paso del fenómeno afectará otros estados de la costa pacífica, principalmente Jalisco, Colima (oeste) y Sinaloa (noroeste), donde se ha declarado una alerta preventiva por efectos de huracán.
Roslyn, que en la mañana del sábado se encontraba a 240 km del puerto de Manzanillo (oeste), se convirtió en huracán la noche del viernes y cobró rápidamente fuerza mientras se desplaza en dirección norte-noroeste a 13 km/h.
México sufre cada año el embate de ciclones tropicales tanto en su costa del Pacífico como del Atlántico, habitualmente entre mayo y noviembre.
A finales de mayo, Agatha, el primer fenómeno de la temporada en el Pacífico, impactó en las costas del estado de Oaxaca (sur), donde las lluvias en localidades montañosas dejaron once fallecidos.
El 3 de octubre, Orlene tocó tierra en el estado de Sinaloa como categoría 1, dejando principalmente daños materiales; mientras que el 8 de septiembre, Kay, también categoría 1, alcanzó el sur de la península de Baja California provocando afectaciones menores.





